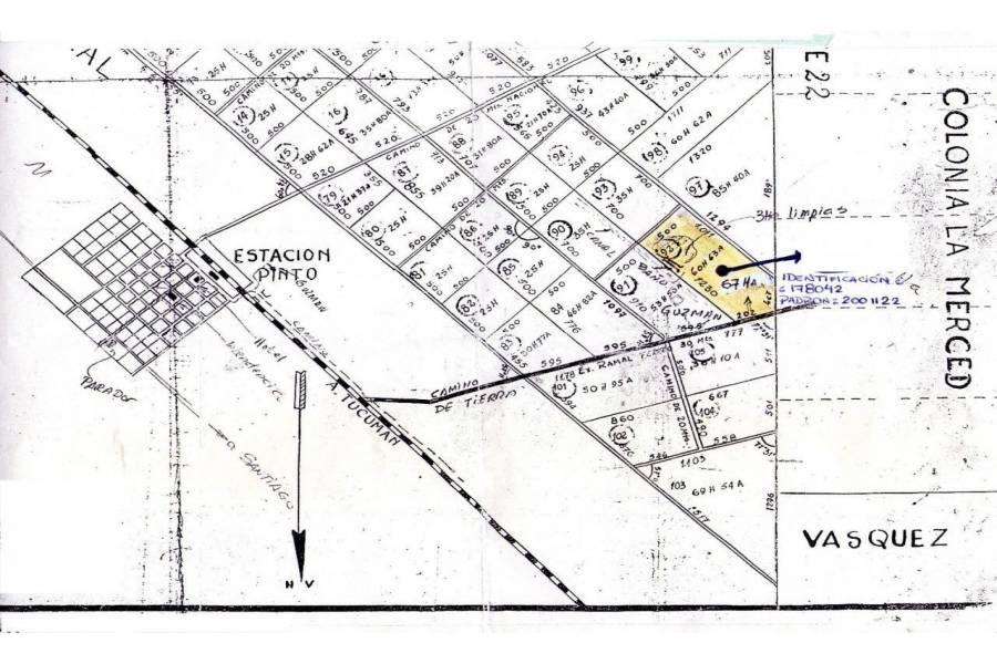
1119-AE00405/143946 Santiago del Estero: Pinto – Colonia Agricola Aschpa Suiaska Ruta Nacional 34 – Campo 67 hectáreas de monte arbolado (quebracho colorado y blanco, algarrobo, etc) con cercado perimetral y tendido de red electrica, ideal emprendimiento con animales, campo en forma de pentagono: 1230 x 500 x 1011 x 467 x 202 mts. Ubicación: 29°08’30.4″S 62°36’26.3″W. 1119-AE00405/143946 Santiago del Estero: Pinto – Colonia Agricola Aschpa Suiaska Ruta Nacional 34 – Campo 67 hectáreas de monte arbolado (quebracho colorado y blanco, algarrobo, etc) con cercado perimetral y tendido de red electrica, ideal emprendimiento con animales, campo en forma de pentagono: 1230 x 500 x 1011 x 467 x 202 mts, lindero a Colonia La Merced. Ingreso por camino de tierra a 3000 mts de las vias del FFCC y estacion de trenes. Ubicación: 29°08’30.4″S 62°36’26.3″W Estado de Dominio: plano catastral aprobado y escrituras en perfecto estado, con sus impuestos (muy bajos) al día. Entorno: Pinto (ex Estación Mitre) es una localidad argentina en la provincia de Santiago del Estero, a 245 km de la capital provincial. Es la cabecera del departamento Aguirre. Es una Intendencia de 3.ª Categoría. Se halla sobre la Ruta Nacional N° 34 en la Mesopotamia Santiagueña, es decir entre los ríos Dulce y Salado. Su economía es netamente agropecuaria. La ciudad de está ubicada en el Km 496 de la Ruta Nacional 34, en el sudeste de la provincia de Santiago del Estero (29° 08’ de Latitud Sur y 62° 39’ de Longitud Oeste) y forma parte de la Región Chaqueña, una extensa planicie con una leve pendiente en dirección Noroeste – Sureste. Esta vasta área, con una altitud de aproximadamente 100 metros sobre el nivel del mar, se conoce como la Mesopotamia Santiagueña delimitada al este por el río Salado y al oeste por el rio Dulce y el río Utis. La distancia a la ciudad de Santiago del Estero, capital provincial es de 240 km y 95 km es la distancia hasta el límite con la provincia de Santa Fe. En Pinto pueden observarse edificaciones de principios del siglo XX, con una fuerte influencia de la arquitectura italiana, caracterizadas por las típicas casas con amplias fachadas recargadas de molduras, puertas de madera labrada y salones de techos altos. La ciudad de Pinto posee masa de 15 espacios verdes, destinados a la recreación y juegos infantiles. La ciudad tiene el diseño de damero español, con centro en la plaza San Martín, a cuyo alrededor se levantaron las principales instituciones como por ejemplo la Iglesia Nuestra Señora del Carmen, el Centro Cívico, la Escuela 737, la Comisaría, etc. Las actividades económicas de la zona son principalmente agropecuarias, donde las más importantes son la producción algodonera, maíz, soja, sorgo, trigo, ganadería bovina, ovina y caprina.
Campos Venta
Pinto - Villa General Mitre, Santiago del Estero, Argentina
